• Bouwgrond te koop in Heers
  • Verkocht

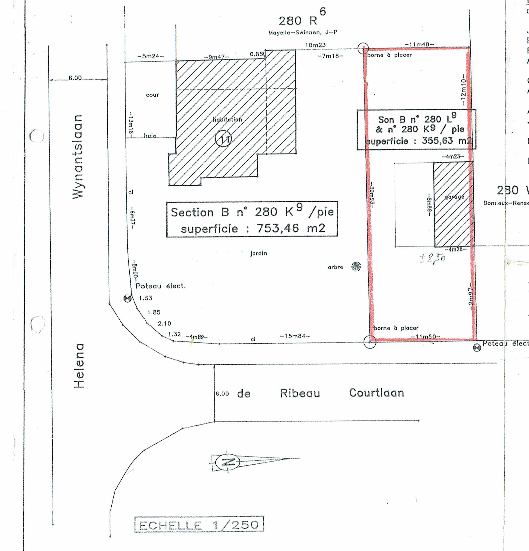
Bouwgrond

De Ribeaucourtlaan 12

3870 Heers

prijs op aanvraag
  • 355 m²

PERCEEL BOUWGROND VOOR EEN HALF-OPEN BEBOUWING MET EEN GRONDOPPERVLAKTE VAN 3A 55CA, 11.50x30 METER, MET EEN VERGUNDE GARAGE, MIDDEN IN HET CENTRUM VAN HEERS GELEGEN.

BOUWVOORSCHRIFTEN (beknopt):
- Hoofdbestemming: wonen
- Bouwbreedte: 3 meter afhouden zijdelingse perceelsgrens, dus maximum 8.50 meter
- Bouwdiepte: net zoals de aangrenzende woning op huisnummer 10, dus maximum 9 meter.
- Bouwhoogte, kroonlijst en dakvorm: ook net zoals de aangrenzende woning op huisnummer 10, dus 2 volwaardige bouwlagen en een zadeldak 

De gemetste garage met kantelpoort heeft een oppervlakte van 38m², 4.28x9.00m, en is vergund.

N3 vastgoed


Luikersteenweg 395, 3800 Sint-Truiden

T: +32 11 75 57 30


Contacteer ons voor meer info
  • Delen mag altijd:
  • Print

Meer in detail

Contacteer ons

Wenst u meer informatie over deze eigendom?

U moet een aanspreking selecteren.
U moet uw voornaam invullen.
U moet uw naam invullen.
U moet uw e-mailadres invullen.
U moet uw telefoon invullen.
U moet een vraag invullen.
U moet akkoord gaan met onze algemene voorwaarden.